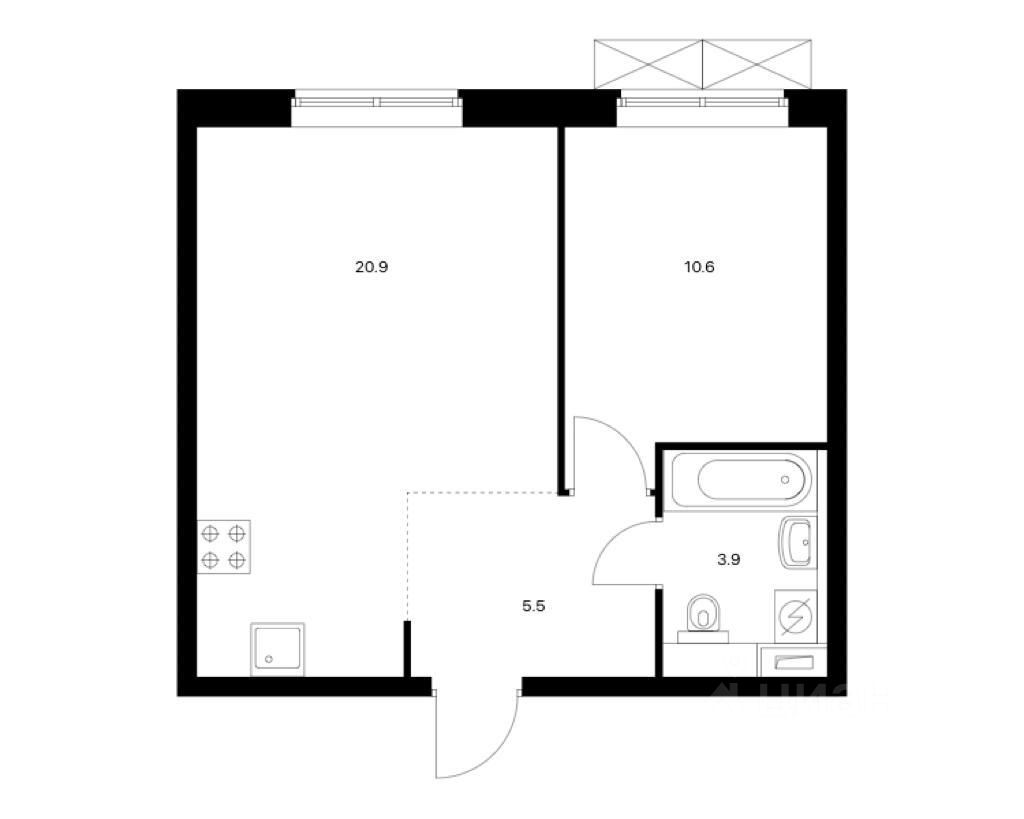
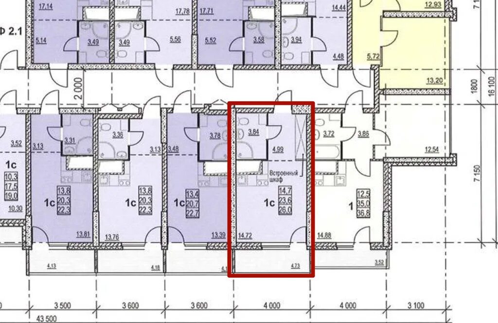
Квартиры высота екатеринбург