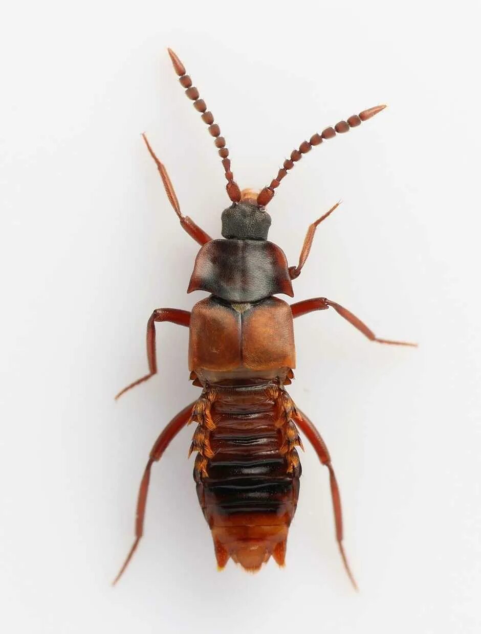
Ломехуза